Description
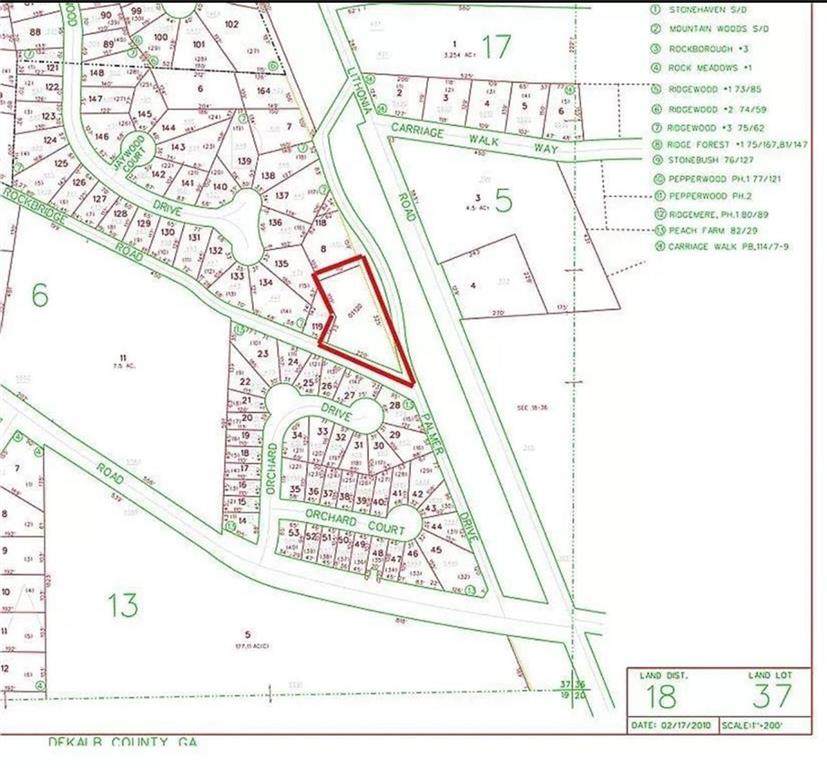
Picture your custom home on a spacious corner lot with nearly 0.7 acres of buildable space in a quiet residential setting. Located in unincorporated DeKalb County's 18th District (Land Lot 37), this level parcel offers design flexibility without HOA restrictions. Enjoy the convenience of being within walking distance of the Wade-Walker Family YMCA, and just minutes to Stone Mountain-Lithonia Road, Rockbridge Road, Stone Mountain Park, and downtown Stone Mountain. Quick access to major highways, shopping, dining, parks, and schools makes this an ideal location for commuting and recreation. Whether you're a builder or an investor looking to create a custom residence, this lot delivers a prime opportunity in a highly accessible area. All listing information provided to the best of seller's knowledge and should be independently verified. Note there is no signage on the lot.
-
0BEDS
-
0.73ACRES
-
0BATHS
-
01/2 BATHS
School Information
Description
Picture your custom home on a spacious corner lot with nearly 0.7 acres of buildable space in a quiet residential setting. Located in unincorporated DeKalb County's 18th District (Land Lot 37), this level parcel offers design flexibility without HOA restrictions. Enjoy the convenience of being within walking distance of the Wade-Walker Family YMCA, and just minutes to Stone Mountain-Lithonia Road, Rockbridge Road, Stone Mountain Park, and downtown Stone Mountain. Quick access to major highways, shopping, dining, parks, and schools makes this an ideal location for commuting and recreation. Whether you're a builder or an investor looking to create a custom residence, this lot delivers a prime opportunity in a highly accessible area. All listing information provided to the best of seller's knowledge and should be independently verified. Note there is no signage on the lot.
Listings identified with the FMLS IDX logo come from FMLS, are held by brokerage firms other than the owner of this website and the listing brokerage is identified in any listing details. Information is deemed reliable but is not guaranteed.
If you believe any FMLS listing contains material that infringes your copyrighted work, please click here to review our DMCA policy and learn how to submit a takedown request.
© 2026 First Multiple Listing Service, Inc. Data last updated 2026-04-10T18:05:36.57. For issues regarding this website, please contact BoomTown.
