Description
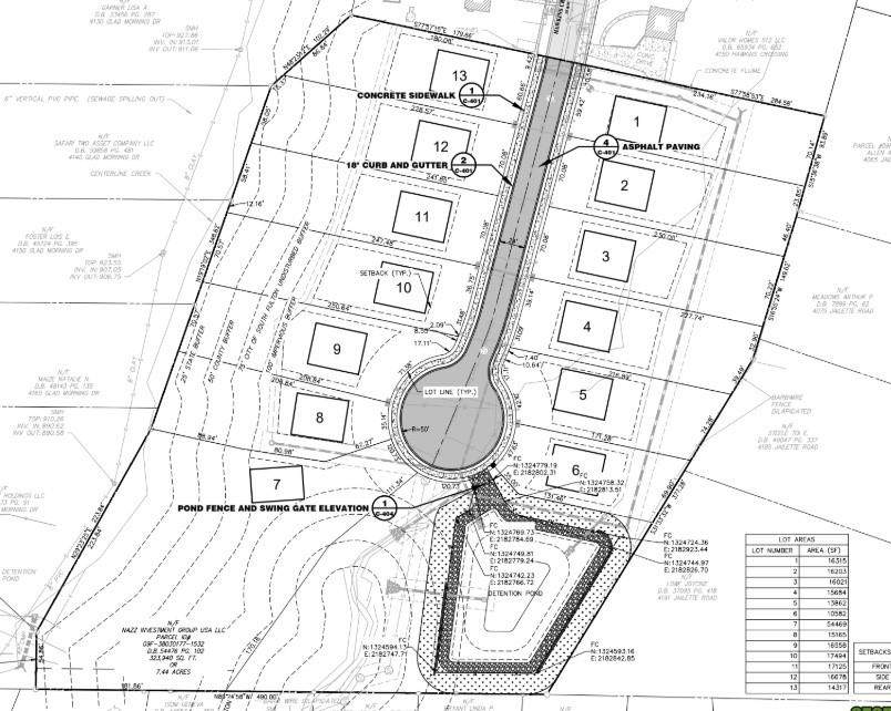
Introducing an exceptional development opportunity at Hawkins Crossing in Atlanta, GA. This 7.44-acre parcel is ideally located just off I-285 in the heart of the South Fulton / College Park area, offering convenient access to major highways, shopping, dining, and entertainment. Currently zoned for residential use, the property comes with an approved site plan and all the planning work completed for a subdivision! This makes it a prime opportunity for builders, developers, or investors looking to create a new residential community in a rapidly growing area of South Fulton. Approximately 15 minutes to Hartsfield-Jackson Atlanta International Airport.
-
0BEDS
-
7.5ACRES
-
0BATHS
-
01/2 BATHS
School Information
Description
Introducing an exceptional development opportunity at Hawkins Crossing in Atlanta, GA. This 7.44-acre parcel is ideally located just off I-285 in the heart of the South Fulton / College Park area, offering convenient access to major highways, shopping, dining, and entertainment. Currently zoned for residential use, the property comes with an approved site plan and all the planning work completed for a subdivision! This makes it a prime opportunity for builders, developers, or investors looking to create a new residential community in a rapidly growing area of South Fulton. Approximately 15 minutes to Hartsfield-Jackson Atlanta International Airport.
Listings identified with the FMLS IDX logo come from FMLS, are held by brokerage firms other than the owner of this website and the listing brokerage is identified in any listing details. Information is deemed reliable but is not guaranteed.
If you believe any FMLS listing contains material that infringes your copyrighted work, please click here to review our DMCA policy and learn how to submit a takedown request.
© 2026 First Multiple Listing Service, Inc. Data last updated 2026-04-12T18:04:42.93. For issues regarding this website, please contact BoomTown.
